Česky | English

Slunečné terasy

Realizované projekty – "Slunečné terasy Obříství” -
řadové rodinné domy s nízkou energetickou náročností.

Projekt "Slunečné terasy Obříství” je svým provedením ojedinělý. Při jeho umístění do stávající infrastruktury obce jsme použili prvek uzavřených rezidenčních lokalit a tím jsme docílili komfortu, který vídáme pouze u velice finančně náročných projektů bydlení, přičemž cena našich domů zůstala nízká. Podařilo se nám též obnovit areál bývalého statku, ovšem již bez hospodářských budov. Noví obyvatelé tak mají komfort uzavřeného dvora i s prostorem pro společnou zábavu. Na začátku výstavby jsme museli provést demolici stávající nemovitosti, což byl zcela zdevastovaný objekt statku. V měsíci březnu 2009 jsme zahájili vlastní výstavbu a díky velice dobré koordinaci stavby jsme předávali dokončené domy včetně oplocení a komunikací k nastěhování již v měsíci září 2009.

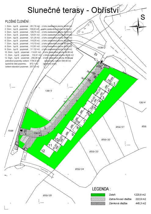
Slunečné terasy Obříství Slunečné terasy Obříství - parcelace
Slunečné terasy Obříství Slunečné terasy Obříství Slunečné terasy Obříství Slunečné terasy Obříství Slunečné terasy Obříství
Slunečné terasy Obříství Slunečné terasy Obříství Slunečné terasy Obříství Slunečné terasy Obříství Slunečné terasy Obříství
Slunečné terasy Obříství Slunečné terasy Obříství Slunečné terasy Obříství